Dream On Fella

 Home

For Sale

 Broodmares

 Reference Sires

 2008 Foals

 2007 Foals

 2006 Foal

 In Loving Memory

 Links 

 

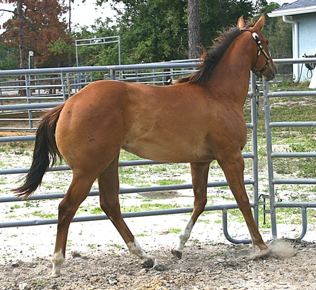
DOB 4-1-2006

HYPP N/N Incentive Fund Filly

Sire: Mr Yella Fella

Dam: Shesa Statuette x Statutory

Lizzie is for sale

photos below taken 5/30/07

       

Click here for 2 year old pictures

Home